
本日の天気は雨のち晴れ。
10月スタートの今日はあいにくの空模様となりました。
朝から雨が降ったり止んだりを繰り返し、気温も25℃に届かず。
さらに昨日に続いて北東風が強めに吹きました。
それでも朝の判断でなんとか出航!
午前は西側でエリア限定となりましたが、午後には風も落ち着きエリアも解除されました。
本日の潮汐は長潮。
1日を通じて潮の動きはほとんどなく、全体的に緩やか。
午前は下げ潮ではなく、上げ潮が少し残っていました。
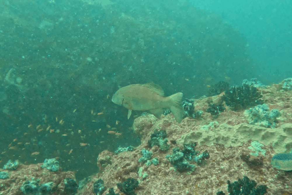
深場の冷水塊はほぼ消え、水温は24℃前後で安定。
ただし雨水の影響か透視度は5m前後と濁りが気になる海況でした。
午後には少し青さが戻り、透視度もやや回復しました。
本日のハンマーは…残念ながら大苦戦!
午前はエリア制限のため潮影でのダイビングに。
潮を攻略できず、さらに視界不良のダブルパンチ。
午後はエリア制限解除で南へ遠征しましたが、潮弱く結果は不発…。
大群れには出会えず、単体や小群れとの出会いにとどまりました。
一方で魚群は健在!
西側は一昔前に比べると少し魚が減った印象はあります。
それでもイサキ・メジナ・ニザダイはまだまだ群れ群れ!
さらに南側ではタカサゴ・ムロアジ・ムレハタタテダイも加わり、賑やかな海中でした。
個人的に印象的だったのはシラコダイ。
至る所で増殖しており、鮮やかな黄色の世界に思わず引き寄せられるダイバーも多かったようです。
明日はエリア制限なく通常通り出航予定!
今日の分も含めて、明日はリベンジに期待です!!!
★★★ 毎月29日は福丸(290)の日!! ★★★
今回10月分はダイビング代金・割引クーポンが当たります!!!
前回より当選確率がアップ!!
大抽選会会場はこちら→【毎月29日は福丸(290)の日】
![]()
お得な情報、ダイブブログなど随時更新中!
新規予約、出航の可否確認、問い合わせなどの連絡窓口としてご利用下さい。
是非、”海遊社LINE公式アカウント”の友だち追加をお願いします。







