
本日の天気は快晴。
早朝にはとんでもない量の雨が降り、激しい雨音で目が覚めるほど。
出航前には雨も上がり、1航海目からは青空が広がりました。
気温も上がりすぎず、秋らしい爽やかな一日。
昨日は北東からの強風でしたが、今日は一転して南西からの強風。
午前は時化の影響で海面がバシャバシャしていましたが、午後には落ち着きました。
午前はエリア制限付き、午後からは制限解除での出航となりました。
今日の潮汐は大潮。
午前は制限エリアでのダイビングだったため潮の影響は少なめ。
午後は制限解除で沖へ出てみると、ちょうど良い下り潮が残ってた。
昨日気になった深場の冷水塊は和らぎ、ただし午前はクラゲなど浮遊物がやや気になる海況でした。
注目のハンマーは、時化に関係なく登場!
午前は制限エリアながらも意外にも群れを目撃。
一方午後の沖では一時姿を見せず、3本目はハンマーゼロでやや肩を落としましたが…
4本目にまさかの群発!
浅場でも深場でも各所で群れが現れ、潜った全チームがハンマー群れをゲットできました。
神出鬼没なハンマーの群れですが、攻略にはまだまだ試行錯誤が必要そうです。
そして今日は「イサキに始まり、イサキに終わる」一日!
一日中、各所でイサキが爆発的に大量発生!
特に午前は前が見えないほどの大群が登場し、なんとボート上からも群れが見えるほど。
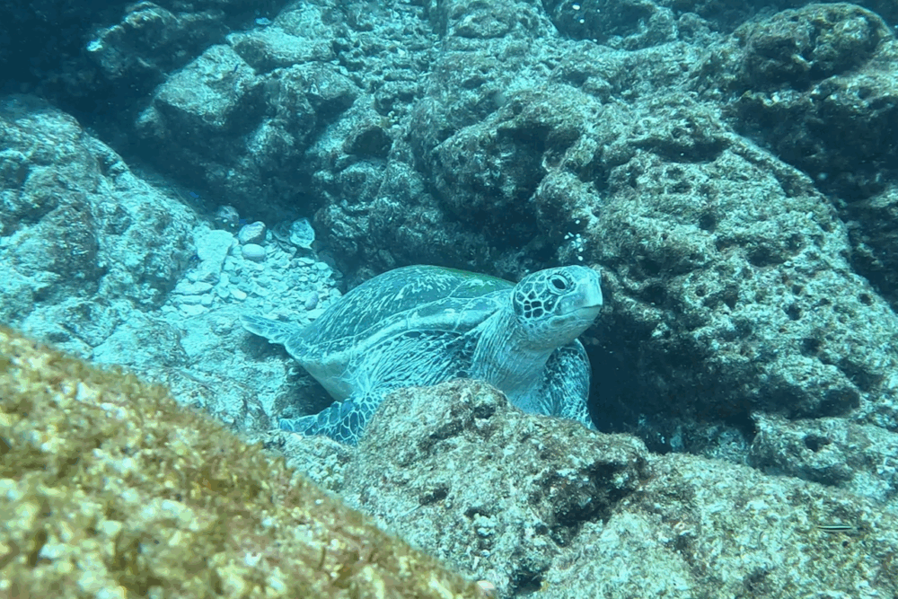
さらに多くのアオウミガメにも出会えました。
さらに本日の熱盛はニタリ!
4本目に2チームが目撃し、尾長の勇姿を確認できました。
浮上後には新吾船長が「ニタリが水面で3回ほど跳ねた」と目撃情報も!
思わぬシーンに胸が高鳴りました!
明日の出航も朝判断となります。
気象状況を総合的に確認した上で最終決定いたします。
また、明後日以降は台風19号の動向にも十分な注意が必要です。
★★★ 毎月29日は福丸(290)の日!! ★★★
今回9月分はダイビング代金・1本無料クーポンが当たります!!!
前回より当選確率がアップ!!
大抽選会会場はこちら→【毎月29日は福丸(290)の日】
![]()
お得な情報、ダイブブログなど随時更新中!
新規予約、出航の可否確認、問い合わせなどの連絡窓口としてご利用下さい。
是非、”海遊社LINE公式アカウント”の友だち追加をお願いします。












