
みなさん、こんにちは。
ジリジリ暑い日となりました。予報よりも風は吹かず、良いコンディションでした。
水温は、全体的に20℃あり、上層では21℃あるところもありました。
透視度は、10m前後でした。
今日も南寄りから来る、じごみ潮でした。
みなさん、ハンマーの群れが見られ喜んでました。
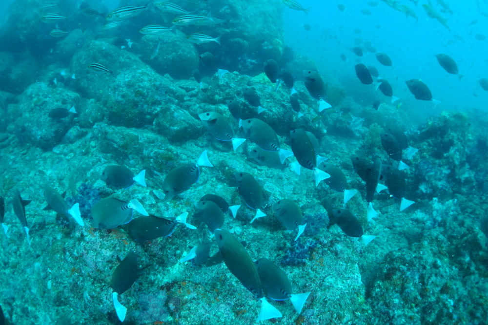
カンパチの群れ、オオニベの群れ、ヒレナガカンパチの群れ、ニザダイの群れ、
クサヤモロの群れ、タカベの群れ、イサキの群れなどなど。
明日も出航です!
6月末まで無料レンタルキャンペーン開催中!!
1 バラクーダフィン(GULL社)
2 GoPro用ワイドアングルコンバージョンレンズ(AOI社)
本格的なシーズン到来を前に新商品をモニターしてみませんか?
- 海遊社では「鳴り物(ベルやタンクバンカー、指示棒やカンカン棒)」が必携アイテムとなっています。必ずご用意されるようよろしくお願いします。
- 室内、屋外、船上、船内、船でもマスクの着用をお願いします。
- ログ付けは当面の間、マップを渡すのみの簡素化とさせて頂きます。
- お会計は、事務所の外からお願いします。
- 器材の移動は、メッシュバックでお願いします。
- 1Fリビングでの複数人での食事飲酒はご遠慮下さい。
- 1Fリビングでの昼寝はご遠慮下さい。
- ゲスト様同士での複数人での外食もお控え下さるようお願いします。
- ダイビング中、衣類はカバン、ウォータープルーフ、袋など入れて、施設のラックに保管してください。














